Has elegido la edición de . Verás las noticias de esta portada en el módulo de ediciones locales de la home de elDiario.es.
La portada de mañana
Acceder
La investigación del accidente de Adamuz apunta a fallos mecánicos o en la vía
Análisis - Rumbo al caos: cómo Trump ha matado el derecho internacional
Opinión - 'Nuestra democracia no es como la República de Weimar', por Pérez Royo

Cascorro, Nelson Mandela y Carrera de San Francisco, así serán los recintos feriales de las fiestas de agosto

Recinto ferial Virgen de la Paloma

Antonio Pérez / Somos Lavapiés

7 de abril de 2022 01:00 h

0

En el pleno de la Junta Municipal del distrito Centro del pasado mes de marzo se aprobaron provisionalmente los recintos feriales de las fiestas patronales de San Cayetano, San Lorenzo y la Virgen de la Paloma para el año 2022, que vuelven después de dos años de pandemia y que han quedado circunscritos a los siguientes entornos: plaza de Cascorro (San Cayetano, del 4 al 6 de agosto), plaza de Nelson Mandela y plaza de Cabestreros (San Lorenzo, del 10 al 12 de agosto) y carrera de San Francisco y plaza de los Carros (Virgen de la Paloma, del 13 al 15 de agosto)

Actualmente, en período de información pública, pasarán a ser definitivos a partir del próximo 13 de abril si no hay alegaciones o reclamaciones.

Argumosa se queda fuera

Si las fiestas más castizas de la ciudad regresaron el pasado año a medio gas por las precauciones sanitarias que aún exigía la pandemia, reducidas a su mínima expresión de tiempo y circunscritas a entornos donde resultó fácil el control de aforo, este 2022 las celebraciones se asemejarán algo más a las de antaño, manteniendo aún claras diferencias.

Entre las que más llaman la atención está el hecho de que los escenarios de las actuaciones musicales quedarán fuera de los recintos feriales y volverán a celebrarse en los mismos emplazamientos del pasado año.

Esto es: plaza Vara del Rey (San Cayetano), plaza de Arturo Barea (San Lorenzo) y las Vistillas (la Virgen de la Paloma). De este modo esos escenarios quedarían excluidos de las zonas donde excepcionalmente, y con motivo de las fiestas, se podrán vender y consumir bebidas y alimentos en la calle.

También es un cambio considerable que la siempre bulliciosa Argumosa, centro neurálgico de la celebración de San Lorenzo pierda su condición de calle festiva de recinto ferial en favor de la plaza de Nelson Mandela.

En comparación con las últimas fiestas prepandémicas, celebradas en 2019, los festejos de agosto 2022 en el distrito Centro tendrán 4 días menos de celebraciones: 9 frente a los 13 de entonces.

Recinto ferial de San Cayetano

El recinto ferial de San Cayetano estará ubicado en la plaza de Cascorro y ocupará una superficie total de 5,260 metros cuadrados. Incluye un total de 17 espacios distribuidos entre módulos de recinto ferial, casetas de feriantes, dos espacios para asociaciones, un punto violeta, otro arcoíris y otro de Madrid Salud

Recinto ferial de las fiestas de San Cayetano sobre la plaza de Cascorro

Recinto ferial de San Lorenzo

Se instala por primera vez sobre la plaza de Nelson Mandela y su vecina plaza de Cabestreros. Con una superficie total de 3965 metros cuadrados, albergará 24 espacios también para módulos de recinto ferial, casetas de feriantes, dos espacios para asociaciones, un punto violeta, otro arcoíris y otro de Madrid Salud

Recinto ferial de San Lorenzo, sobre la plaza de Nelson Mandela

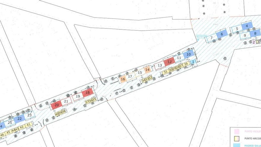
Recinto ferial Virgen de la Paloma

A lo largo de la carrera de San Francisco y de la plaza de la Paja, 6142 metros cuadrados de terreno darán cabida a 46 espacios de nuevo para módulos de recinto ferial, casetas de feriantes, asociaciones, un punto violeta, otro arcoíris, otro de Madrid Salud y, además, para seis partidos políticos, una tradición que este año pasa a este entorno.

Recinto ferial Virgen de la Paloma
Etiquetas
stats