Has elegido la edición de . Verás las noticias de esta portada en el módulo de ediciones locales de la home de elDiario.es.
La portada de mañana
Acceder
Las comunidades del PP amenazan con boicotear el plan para blindar las VPO
El borrado de nombres en los papeles del franquismo: “Frena la investigación”
Opinión - 'Felipe González y el hartazgo', por Neus Tomàs

Castilla-La Mancha, tercera comunidad con daños más graves en el campo por la borrasca Ciril: 33 millones de euros

Almendro con las flores heladas

Pilar Virtudes

3 de mayo de 2022 14:21 h

0

Las tareas de evaluación de daños tras las heladas registradas el primer fin de semana de abril elevan la estimación de indemnizaciones hasta los 244 millones de euros. Supone una cifra histórica que, a lo largo de los 42 años de vida del sistema español de seguros agrarios, solo se ha manejado en casos de fuertes sequías, según ha asegurado Agroseguro.

Por comunidades autónomas, la estimación total de indemnizaciones para los agricultores asegurados en Cataluña alcanza los 109 millones de euros, y en Aragón ascienda a 78 millones. A continuación, se situarían Castilla-La Mancha, con 33 millones, la Comunidad Valenciana, con 15 millones, y la Región de Murcia, con 5 millones. El resto de indemnizaciones, hasta los 244 millones de euros, corresponde a productores asegurados en el resto de regiones.

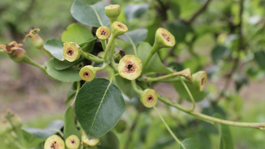
La borrasca Ciril (un frente ártico procedente del norte de Europa que hizo descender drásticamente las temperaturas nocturnas entre el 1 y 5 de abril) provocó heladas que ocasionaron daños por valor de 188 millones de euros en producciones de frutales, ya que las especies de fruta de hueso y de pepita (melocotón, albaricoque, pera, manzana…) se encontraban en periodo de floración, cuajado y crecimiento del fruto cuando ocurrió este fenómeno.

Debido a la fuerte intensidad del daño, la extensa superficie afectada y el alto valor de producción asegurado, las indemnizaciones adquieren un carácter histórico y superan en un 30% –en apenas 72 horas de helada– a los daños de toda la campaña de frutales de 2021. La implantación del seguro agrario es elevada en el sector frutícola, en el que aproximadamente el 80% de la producción nacional cuenta con cobertura. Aunque los siniestros en frutales son masivos y elevados en las zonas frutícolas de Cataluña y Aragón (con 103 y 70 millones en daños, respectivamente), se extienden también a Castilla-La Mancha, Comunidad Valenciana o Región de Murcia, entre otras regiones.

Peral necrosado por la helada de abril de 2022

Por otro lado, también han producido daños en prácticamente todas las zonas de producción de almendro –con especial incidencia en Castilla-La Mancha–, ya que sus frutos son muy sensibles a temperaturas bajo cero durante su crecimiento inicial, estado en el que se encontraba el cultivo durante las heladas. Los daños dependerán de la severidad de la bajada de temperaturas de cada área, pero se estiman por encima de los 34 millones de euros en el total nacional.

De forma menos generalizada que en fruta y almendro, también se han producido daños en otras producciones, con es el caso del caqui (principalmente en zonas frías de Valencia), los viñedos adelantados, los últimos ciclos de hortalizas de invierno (brócoli, coliflor, guisante, haba o espárrago) en varias regiones, la colza o la cereza de recolección temprana de Alicante y Aragón, entre otras. La superficie siniestrada declarada hasta ahora por los agricultores asegurados supera ya las 92.800 hectáreas.

La magnitud del siniestro ha requerido la movilización de gran parte de la red pericial para dotar de agilidad a los trabajos de tasación. En la actualidad, las valoraciones se están realizando por más de 250 técnicos que prestan sus servicios a Agroseguro en todas las zonas siniestradas.

Etiquetas
stats